Już niewiele jest takich miejsc...Dolina Baryczy

[Sprzedaż] Działki

Już niewiele jest takich miejsc...Dolina Baryczy
Już niewiele jest takich miejsc...Dolina Baryczy Już niewiele jest takich miejsc...Dolina Baryczy Już niewiele jest takich miejsc...Dolina Baryczy Już niewiele jest takich miejsc...Dolina Baryczy Już niewiele jest takich miejsc...Dolina Baryczy Już niewiele jest takich miejsc...Dolina Baryczy Już niewiele jest takich miejsc...Dolina Baryczy Już niewiele jest takich miejsc...Dolina Baryczy

Cena: 199.900 zł

Dodane przez: HomePartner
Region: Dolnośląskie Milicz
Adres:Łąkowa

pokaż adres email...

Opublikowano: 26-12-2025 | Wygaśnie: 27-12-2025

ID ogłoszenia: 39794

Szczegóły

Rynek: Nie
Pow. użytkowa (m2): 2345
Forma własności: własność
Typ działki: rolno-budowlana
Agent: Monika Łabęska - Cioch
E-mail: biuro@home-partner.com.pl
Telefon komórkowy: 536 496 163
Nr licencji: 23243
Data aktualizacji: 2025-11-29 13:32:58

Opis

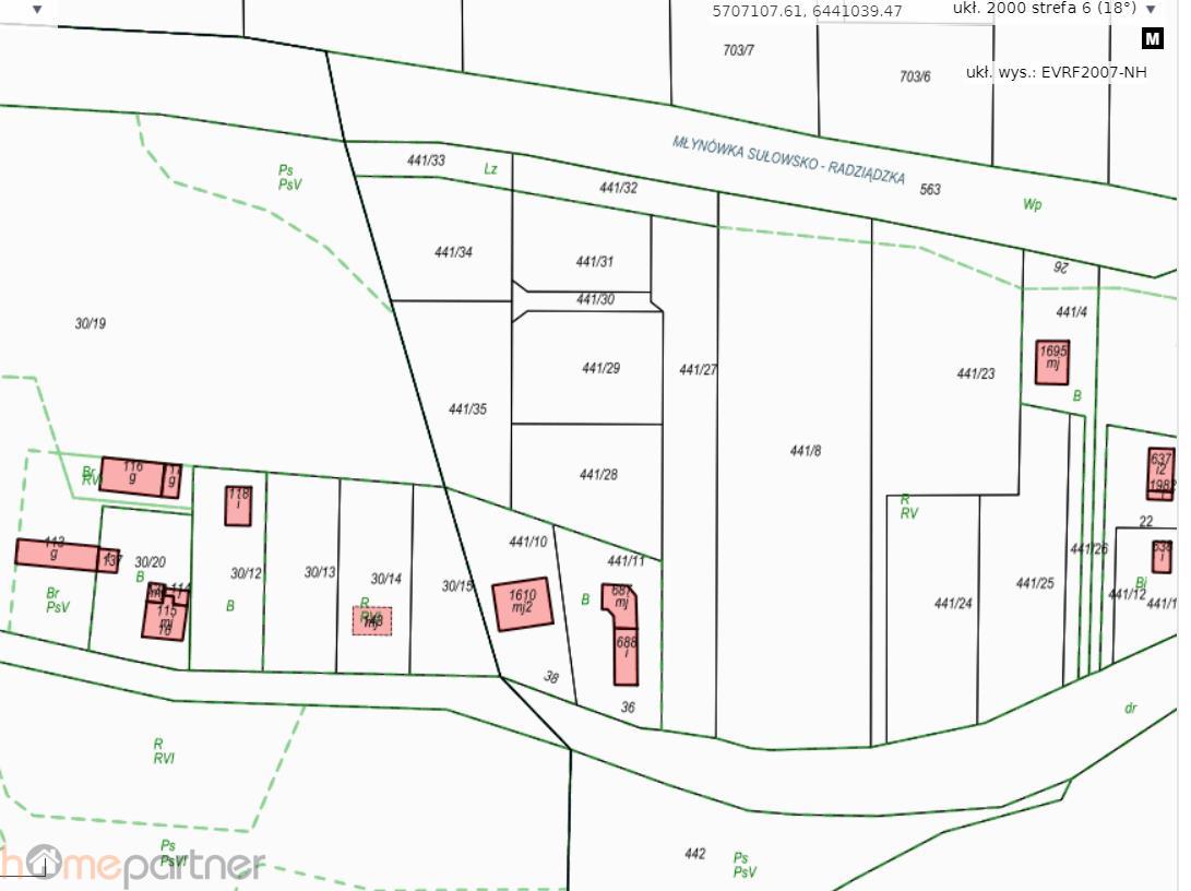
Polecam bardzo ładne działki położone w miejscowości Sułów, gmina Milicz. Wieś położona nad rzeką Baryczy, na terenie Stawów Milickich.

Działki nie zostały zalane podczas powodzi w 2024.

Powierzchnia działek:

1. działka nr 441/35 - 1213 m2

2. działka nr 441/29 - 1132 m2

Okolica spokojna i bezpieczna. Teren płaski.

Z każdą działką w cenie zostaje sprzedany udział 1/5 w wydzielonej w drodze wewnętrznej.

Teren objęty MPZP, zgodnie z planem oznaczony symbolem MN44 z przeznaczeniem jako teren zabudowy mieszkaniowej jednorodzinnej, cześć nad rzeką to ZŁ3 tereny zieleni łęgowej i od wschodniej granicy działki KDw10 z przeznaczeniem pod drogę wewnętrzną.

<b>DOSKONAŁA LOKALIZACJA:</b> Bardzo dobra lokalizacja ok. 45 km do Wrocławia (dojazd ok. 30-40 minut), ok. 8,5 km do Milicza, 23 km do Żmigrodu, 24 km do Trzebnicy.

Działki usytuowane w bardzo urokliwej okolicy, na terenie Parku Krajobrazowego Dolina Baryczy. Bliskość terenów zielonych i stawów Milickich, to atuty, które powodują, ze jest to idealna oferta dla ludzi ceniących bliskość z naturą lub aktywny tryb życia (rowery, kajaki, wędkarstwo). Bogata infrastruktura w pobliskim Sułowie: sklepy, ośrodek zdrowia, kościół, przystanek autobusowy, stacja PKP, szkoła, apteka.

Media: prąd, woda, kanalizacja (w drodze).

Zapraszam do rozmów i obejrzenia nieruchomości. Tel. 536 49 61 63

Feel free to talk and see the real property.

For more information please call us +48 889 759 863.

Por favor contáctenos para conocer más sobre la oferta y ver el apartamento. Podemos ayudar con todos los trámites. Para más información por favor llámanos +48 889 759 863.

WSPÓŁPRACUJEMY RÓWNIEŻ Z POLSKIM PRODUCENTEM DOMÓW PREFABRYKOWANYCH. CHĘTNIE PRZEDSTAWIMY WYCENĘ BUDOWY DOMU.

www.home-partner.com.pl

Treść niniejszego ogłoszenia nie stanowi oferty handlowej w rozumieniu Kodeksu Cywilnego.

Oferta wysłana z programu IMO dla biur nieruchomości

Mapa

Formularz kontaktowy

This site is protected by reCAPTCHA and the Google Privacy Policy and Terms of Service apply.

Promuj

Ogłoszenie nie jest promowane

Promowanie ogłoszenia: 0,00 zł / 1 dni


Podobne ogłoszenia




Ta strona używa ciasteczek (cookies), dzięki którym nasz serwis może działać lepiej. Akceptuję
Facebook
Facebook
Sprzedawanko.pl – serwis ogłoszeń Firmowanko.pl – katalog firm i usług Pracowanko.pl – serwis pracy Ugościmy.pl – serwis noclegów Nporta.pl – katalog firm i usług