📢
🔥 FERIE ZIMOWE 2026 🔔 z Portalem WWW.NPORTA.PL 🔥

Działka rolna o pow. 7,5 ar. w Krakowie. Przedmiotem oferty jest nieruchomość gruntowa niezabudowana o nr ew. 37 położona w

[Sprzedaż] Działki

Działka rolna o pow. 7,5 ar. w Krakowie.  
Przedmiotem oferty jest nieruchomość gruntowa niezabudowana o nr ew.  37  położona w
Działka rolna o pow. 7,5 ar. w Krakowie.  
Przedmiotem oferty jest nieruchomość gruntowa niezabudowana o nr ew.  37  położona w Działka rolna o pow. 7,5 ar. w Krakowie.  
Przedmiotem oferty jest nieruchomość gruntowa niezabudowana o nr ew.  37  położona w Działka rolna o pow. 7,5 ar. w Krakowie.  
Przedmiotem oferty jest nieruchomość gruntowa niezabudowana o nr ew.  37  położona w Działka rolna o pow. 7,5 ar. w Krakowie.  
Przedmiotem oferty jest nieruchomość gruntowa niezabudowana o nr ew.  37  położona w Działka rolna o pow. 7,5 ar. w Krakowie.  
Przedmiotem oferty jest nieruchomość gruntowa niezabudowana o nr ew.  37  położona w Działka rolna o pow. 7,5 ar. w Krakowie.  
Przedmiotem oferty jest nieruchomość gruntowa niezabudowana o nr ew.  37  położona w

Cena: 7.460 zł

Dodane przez: Awatar sadurscy
Region: Małopolskie Kraków

pokaż adres email...

Opublikowano: 04-02-2026 | Wygaśnie: 05-02-2026

ID ogłoszenia: 48938

Szczegóły

Rynek: Wtórny
Pow. użytkowa (m2): 746
Cena za m2 (zł): 10
Forma własności: użytkowanie wieczyste
Typ działki: rolna
Szerokość działki (mb): 19
Wirtualny spacer: https://panoramy.galactica.pl/virgo/491462
Agent: Jakub Obcowski
E-mail: kuba@sadurscy.pl
Telefon komórkowy: +48 510-087-993
Nr licencji: 22911
Data aktualizacji: 2026-02-04

Opis


Działka rolna o pow. 7,5 ar. w Krakowie.
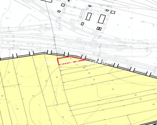
Przedmiotem oferty jest nieruchomość gruntowa niezabudowana o nr ew. 37 położona w obrębie NH-22 , obejmującym rejon Ruszczy w dzielnicy Nowa Huta .
Działka ma powierzchnię wynoszącą 746 m2, jest objęta ustaleniami miejscowego planu zagospodarowania przestrzennego oznaczonego symbolem R.

Zgodnie z ustaleniami MPZP Wyznacza się Tereny Rolnicze oznaczone symbolem R z wykluczeniem zabudowy z podstawowym przeznaczeniem terenu na: 1) uprawy rolnicze; 2) uprawy ogrodnicze; 3) łąki, pastwiska.

Wymiary działki: 19 x 58 x 35 x 25 m

Nieruchomość dobrze skomunikowana , odległość do wjazdu na ul. Igołomską wynosi 1,5 km , natomiast do węzła Igołomska na S7 odległość wynosi 8 km.
Najbliższe obiekty użyteczności publicznej: przystanek autobusowy Błonia Kościelnickie (linie 171, 271) - 500 m, sklep spożywczy - 1,6 km, przedszkole i szkoła podstawowa (Wyciąże) - 2,4 km.

Przedmiotem oferty jest prawo użytkowania wieczystego ustanowionego na nieruchomości gruntowej.

Cena ofertowa podana w ogłoszeniu stanowi cenę netto , do ceny transakcyjnej sprzedaży należy doliczyć podatek VAT wg obowiązującej stawki podatkowej.

Link do zapisów MPZP:
UCHWAŁA NR LXXXI/1061/09 Rady Miasta Krakowa z dnia 23 września 2009 r. w sprawie uchwalenia miejscowego planu zagospodarowania przestrzennego obszaru "RUSZCZA" - ogłoszona w DZIENNIKU URZĘDOWYM WOJEWÓDZTWA MAŁOPOLSKIEGO NR 631, poz. 4777 z dnia 9 października 2009 r. - link

W ofercie biura znajdują się również inne działki w tej lokalizacji:

Biuro pomaga bezpiecznie przeprowadzić transakcję.

Zapraszam do kontaktu oraz na prezentację nieruchomości.

tel. 796 541 485 - Grzegorz


Zobacz Wirtualny Spacer: https://panoramy.galactica.pl/virgo/491462

Pośrednik odpowiedzialny zawodowo za wykonanie umowy pośrednictwa: Dariusz Sadurski (licencja nr: 803)


Oferta wysłana z systemu Galactica Virgo

Mapa

Formularz kontaktowy

This site is protected by reCAPTCHA and the Google Privacy Policy and Terms of Service apply.

Promuj

Ogłoszenie nie jest promowane

Promowanie ogłoszenia: 0,00 zł / 1 dni


Podobne ogłoszenia




Ta strona używa ciasteczek (cookies), dzięki którym nasz serwis może działać lepiej. Akceptuję
Facebook
Facebook
Sprzedawanko.pl – serwis ogłoszeń Firmowanko.pl – katalog firm i usług Pracowanko.pl – serwis pracy Ugościmy.pl – serwis noclegów Nporta.pl – katalog firm i usług